At ExplorersWeb, we focus on expeditions to the wild corners of our planet, but we also cover what you might call adventure science — the archaeology, space, and natural history discoveries that pique the curiosity of most of us who spend time outdoors. We now know that moss can survive months strapped to the outside of the International Space Station and that Easter Island’s stone statues really did “walk.”
Researchers have invented bite-resistant wetsuits and a hiking robot that may soon transform search-and-rescue missions. One man deliberately let snakes bite him hundreds of times to help create a near-universal antivenom. We’ve discovered the oldest known black hole in the universe, and even caught killer whales kissing on camera.
Here are ExplorersWeb’s five most popular science stories of 2025.
‘Sea’ lions
Namibian Lions Take Up Seal Hunting: Lions along Namibia’s Skeleton Coast are showcasing their adaptability by returning to maritime hunting. They are the only lions in the world that regularly hunt seals and seabirds. In the mid-20th century, the Namibian lions used to roam these beaches until humans forced them inland.
Over the last 20 years, a small group of these desert-adapted lions has returned to the water’s edge. Initially, they continued to hunt on land, but three young lionesses soon rediscovered their ancestors’ maritime hunting techniques. Now, 80% of the population’s diet comes from the sea.

Photo: Shutterstock
Farewell to a titan
Jane Goodall Dies at 91: In October, world-renowned primatologist and conservationist Jane Goodall passed away at the age of 91, peacefully in her sleep while on a speaking tour in California. Goodall revolutionized the study of animal behavior with her field research on chimpanzees at Tanzania’s Gombe Stream National Park.
She threw out the rule book and saw the chimpanzees as individuals. Goodall gave them names and followed them for decades. She observed them using tools, witnessed their social relationships, and realized that they showed emotions previously associated only with humans.
Her legacy extends beyond scientific discovery. Goodall founded the Jane Goodall Institute, launched the global youth-focused Roots & Shoots program, authored over 30 books, served as a United Nations Messenger of Peace, and spent her life advocating for wildlife conservation and environmental stewardship. Her passionate efforts inspired generations of researchers and activists to protect animals and their habitats.

The reconstructed Antarctic skull. Photo: Daniel Torres Navarro
Not so mysterious
What’s The Deal With the Human Remains in Antarctica? Online rumors recently resurfaced about old human remains found in Antarctica. The reality is less sensational than some posts suggest. The story began in 1985, when Chilean biologist Daniel Torres Navarro found a human skull on Livingston Island, off the northern tip of the Antarctic Peninsula. He later found two leg bones that belonged to the same unfortunate soul.
Navarro and anthropologist Claudio Paredes tried to decipher the sex and race of the bones’ owner. Not an easy feat, with only three bits of bone and the scientific methods of the 1990s.
Unsurprisingly, the results were inconclusive. How the bones got to Antarctica is another question. It is likely they belonged to a woman who ended up there through early sealing or shipwreck activity. They do not rewrite human history or suggest prehistoric Antarctic inhabitants, as some breathless stories suggested.

Elephants in Kitum Cave. Photo: Richard Preston
A deadly tourism destination
Kitum Cave: A Natural Wonder Hosting a Deadly Disease: Kitum Cave sits on Mount Elgon in Kenya. Years of weathering and erosion on the extinct volcano created a series of caves, and the mineral deposits on the walls of one in particular draw herds of elephants and other wildlife. Kitum Cave is essentially a giant salt lick.
As animals ventured into the cave, tourists eventually came to view them, but this showed the cave’s darker side. In the 1980s, two visitors fell ill with uncontrollable internal bleeding and organ breakdown. They had contracted the Marburg virus, a close relative of Ebola, while inside the cave.

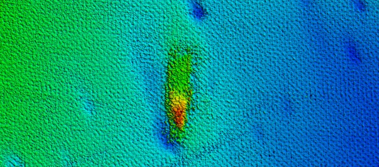
This blob in a sonar scan turned out to be the wreck of the SS Terra Nova. Photo: Schmidt Ocean Institute
The ‘Terra Nova’ reveals its secrets
New Scans Show Fate of Sunken SS Terra Nova: A team of maritime archaeologists has completed a detailed underwater survey of the sunken SS Terra Nova. The historic wooden ship carried Robert Falcon Scott on his doomed 1910 Antarctic expedition and later sank off Greenland during World War II.
Finding the ship became the test project for new sonar equipment in 2012. Recently, researchers returned to the site with modern submersibles and expert divers to fully expose the details of the wreck. They confirmed the wreck’s identity, revealed that the bow had violently split in half, and found the remnants of gear from a rapid evacuation as the ship sank.